Project registered under MahaRERA registration no. P51700016820.
This project is under PMAY scheme.
The eligible EWS beneficiaries will get subsidy of Rs. 1.50 Lakhs from Central Govt. & Rs. 1.00 Lakh from State Govt.
The State Govt has reduced & fixed the Stamp Duty to the extent of Rs. 1000/- on the First instrument of transaction for EWS & LIG category beneficiaries.
The captioned scheme is funded as Advance Contribution Scheme.
The eligible beneficiaries will have to pay the cost of tenements in prescribed installments.
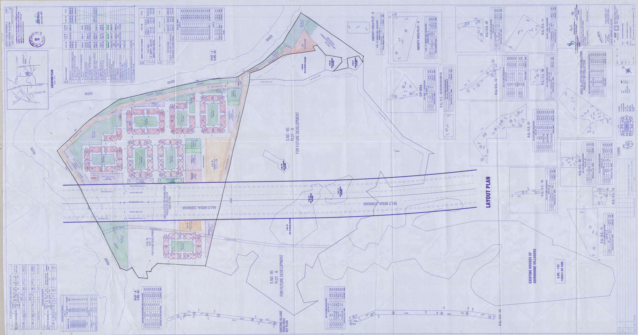
Name of Scheme: Survey, Soil investigation, planning, Designing, Construction & Obtaining all relevant permissions and required Completion Certificate from concerned local authority on Lump-Sum Turnkey basis for Construction of EWS/ LIG, Residential/ Commercial tenements on land bearing Survey no. 86, 95 & 133 at Shirdhon, Tal- Kalyan, Dist- Thane (under PMAY)
Location: Shirdhon, Taluka- Kalyan, District- Thane
Type of Schemes: EWS and LIG tenements. The buildings in this project are having Ground + 7 upper floors.
Total no. of tenements proposed: 3556 EWS tenements (28 buildings) in First phase. Plan approved by Collector/ Thane on dated 26/03/2018.
Carpet area:
EWS - 29.90 Sq. M (321.84 Sq. ft.) LIG - 44.98Sq. M (484.16 Sq. ft.)
Rooms per tenement:
EWS - 1 Liv Rm+1 Bed Rm,+ 1 Kitchen +1 WC+ 1 Bath LIG - 1 Liv Rm+1 Bed Rm,+ 1 Kitchen +1 WC+ 1 Bath
Current status: Work of 1905 EWS tenements (15 Buildings) is in progress.
Amenities to be provided in the Tenements.
- Ceramic tiled flooring for EWS and Vitrified tiled flooring and skirting for LIG.
- Granite kitchen platform with stainless steel sink.
- Ceramic tiles for flooring and dado in bath & WC, and above kitchen platform.
- Solid core flush door for entrance.
- Aluminum sliding windows.
- Box type M. S. grill for windows & ventilators.
- Concealed plumbing in WC & Bath with Mixer arrangement for Hot & Cold water.
- Underground & Overhead water storage tanks.
- Concealed electrification Lifts.
- Work in progress.
- Survey, Soil investigation, planning, Designing, Construction & Obtaining all relevant permissions and required Completion Certificate from concerned local authority on Lump-Sum Turnkey basis for Construction of EWS/ LIG, Residential/ Commercial tenements on land bearing Survey no. 86, 95 & 133 at Shirdhon, Tal- Kalyan, Dist- Thane (under PMAY)





